Hawaii

Noaa Hawaii Hurricane Tracker


Nasa S Tracking Hawaii Bound Major Hurricane Douglas
phys.org

Bps N Rqpqngdm

Hurricane Douglas Maintains Category 1 Strength Drawing Closer To
mauinow.com

Douglas Weakens But Hawaii Could Still See Severe Impact Kveo Tv
www.valleycentral.com

Video Hurricane Watch For Hawaii Island As Douglas Nears 11
www.bigislandvideonews.com

Historic Hurricane Lane Poses Grave Threat To Hawaii Axios
www.axios.com

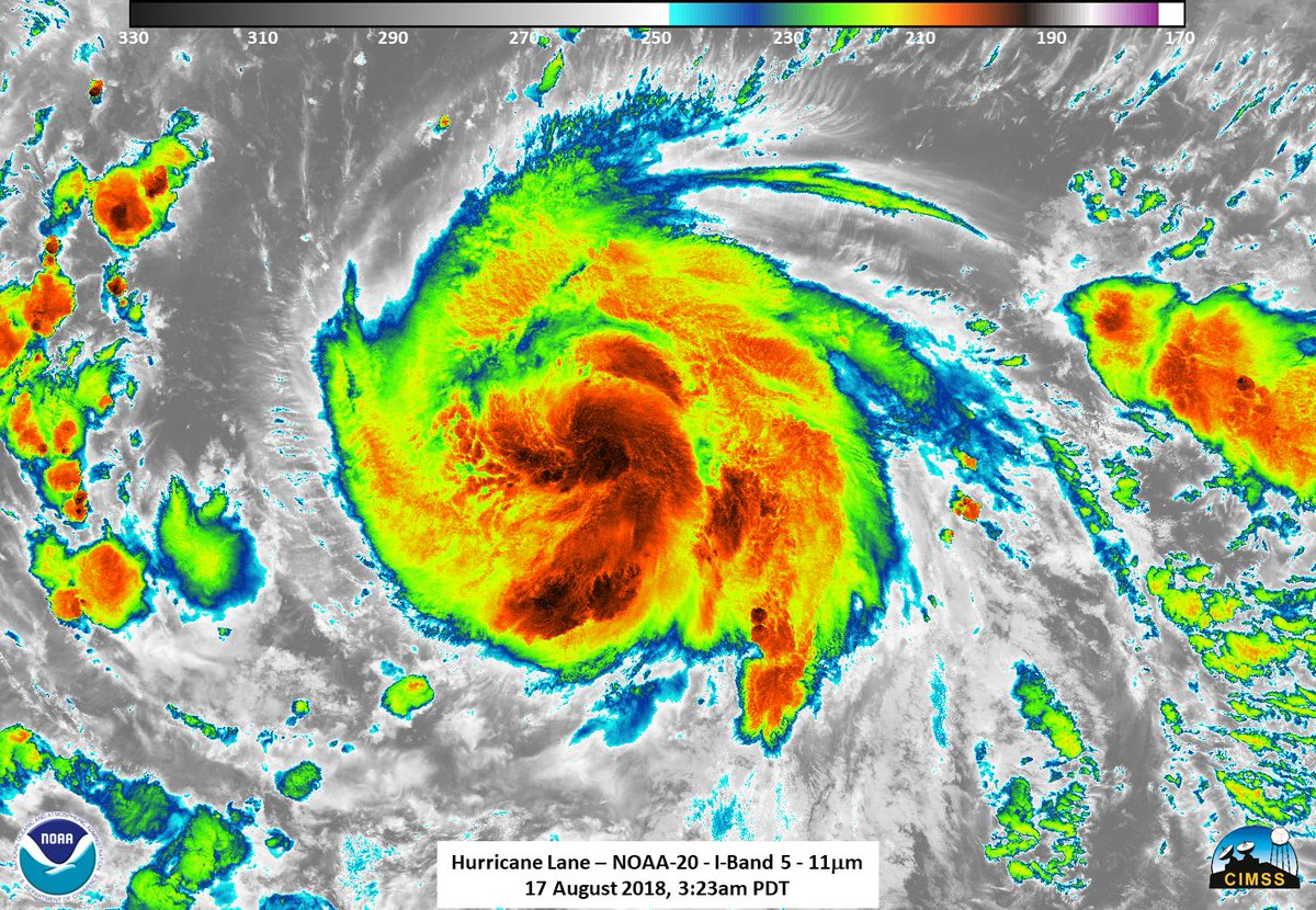
Noaa Satellites On Twitter Today Lane Became The 6th Hurricane
twitter.com

Hurricanes In Hawaii
www.soest.hawaii.edu

Hurricane Douglas Intensified Into Major Hurricane As It Moves
www.cnn.com

Iselle Eastern Pacific Ocean Nasa
www.nasa.gov

Hurricane Lane Noaa 5am Update Hurricane Moves North West Toward
www.express.co.uk

Hector Maintains Category 4 Strength Tropical Storm Watch For
mauinow.com

All Hawaii News Storms Sandwiching Hawaiian Islands Gabbard
www.allhawaiinews.com

Current Watches And Warnings In Effect For The Hawaiian Islands
www.khon2.com

Hawaii Avoids Direct Hit From Douglas As Hurricane Warning For
www.staradvertiser.com

Hurricane Madeline Gradually Weakens While Tracking West Towards
www.kwxx.com

Https Encrypted Tbn0 Gstatic Com Images Q Tbn 3aand9gcqrp5iz8jcgevlsbmzajgnjoskzlejfp3weylx3oyf5a55jjzjr Usqp Cau
encrypted-tbn0.gstatic.com

Tropical Depression 09e Iselle 7 Hurricane 10e Julio 7
www.stripes.com

Hurricane Watch Issued For Hawai I Maui Counties Kauai Now
kauainownews.com

Hurricane Iselle Continues On Track Toward Hawaiʻi Maui Now
mauinow.com

Hurricanes In Hawaii
www.soest.hawaii.edu

Olivia Enters Central Pacific Basin As Category 1 Hurricane Maui
mauinow.com

Hurricane Lane How To Track Lane S Storm Path As It Approaches Hawaii
www.forbes.com

Https Encrypted Tbn0 Gstatic Com Images Q Tbn 3aand9gcrrjm Bzls Xsvbv Azcqisgvp 2pi4livjw Usqp Cau

Hurricane Watch Issued For Hawai I Maui Counties Big Island Now
bigislandnow.com

Central Pacific Hurricane Party Three S Company Noaa Climate Gov
www.climate.gov

Hawaii Hurricanes How Unusual Are They The Weather Channel
weather.com

Hawaii Hurricane Warning Latest Path Map For Tropical Cyclone
www.newsweek.com

Hawaii Faces A Rare Dual Hurricane Threat Through This Weekend
wxshift.com

Lane Approaches Hawaii Potential Mid Week Impacts Maui Now
mauinow.com

Hurricane 12e Ignacio 3 Pacific Storm Tracker Stripes
www.stripes.com

Https Encrypted Tbn0 Gstatic Com Images Q Tbn 3aand9gcqrp5iz8jcgevlsbmzajgnjoskzlejfp3weylx3oyf5a55jjzjr Usqp Cau
encrypted-tbn0.gstatic.com

Hurricane Douglas Lashes Hawaii With High Winds And Flooding The
www.washingtonpost.com

Hurricane Madeline Heads West Toward Hawaii Storm Warnings
www.staradvertiser.com

Trump Would Cut Hurricane Tracking Agencies Public News Service
www.publicnewsservice.org

Noaa Historical Hurricane Tracks
oceanservice.noaa.gov

Hurricane Douglas Now A Category 4 Storm West Hawaii Today
www.westhawaiitoday.com

2013 Eastern Pacific Hurricane Season
www.nhc.noaa.gov

Hurricane Douglas Nears Hawaii As Category 1 Storm Latest
www.cbsnews.com

Hurricane Erick Path Tracker Tropical Storm Strengthens As It
news.nestia.com

Https Encrypted Tbn0 Gstatic Com Images Q Tbn 3aand9gcs0fdoadqvwqulii5ccxhmtpdc9 68hu3w Lw Usqp Cau

Hurricanes In Hawaii
www.soest.hawaii.edu

Hurricane Erick Noaa Warning Massive Storm With 125 Mph Winds
www.express.co.uk

Nasa S Tracking Hawaii Bound Major Hurricane Douglas News Break
www.newsbreak.com

Hurricane Douglas Still A Major Hurricane 5 P M Update
www.bigislandvideonews.com

Hector Near Category 5 Strength Still Expected To Pass South Of
www.wunderground.com

Hurricane Season Will Be Above Average Noaa Warns Kpbs
www.kpbs.org

Noaa Increases Hurricane Season Forecast Weathernation
www.weathernationtv.com

Hurricane Lane In Hawaii 155 Mph Winds For Category 4 Storm
www.freep.com

Noaa Predicts A Near Or Above Normal 2018 Hurricane Season In The
www.noaa.gov

Hawaii Hurricane Warning Latest Path Map For Tropical Cyclone
www.newsweek.com

Emilia Intensifies Into Category 1 Hurricane Daniel Weakens Further
www.hawaiinewsnow.com

Here Are The Key Messages From Nhc Noaa Nws National
www.facebook.com

Atlantic Basin Hurricane Tracking Chart By Noaa Pilothouse
www.pilothousecharts.com

Hurricane Tracking Chart Western Atlantic By Noaa Oceangrafix
mdnautical.com

Hawaii Braces For First Hurricane In 24 Years Csmonitor Com
www.csmonitor.com

7 25 Update Hawaii Braces For Hurricane Douglas Yale Climate
yaleclimateconnections.org

Map Track Hurricane Douglas
www.nbcnews.com

Major Hurricanes Madeline And Lester Poised To Give Hawaii A Close
www.climate.gov

Https Encrypted Tbn0 Gstatic Com Images Q Tbn 3aand9gcqrp5iz8jcgevlsbmzajgnjoskzlejfp3weylx3oyf5a55jjzjr Usqp Cau
encrypted-tbn0.gstatic.com

Map Track Hurricane Douglas
www.nbcnews.com

Hurricane Lane Path Live Tracking Hurricane Barrels Towards
www.express.co.uk

Tropical Storm Gonzalo 2020 Tiny Storm Appears To Be On Comeback
www.al.com

Hawaii Hurricane Olivia Noaa Warning Prepare For Direct Hit 9 9
www.youtube.com

Hurricane Tracking Chart Western Atlantic By Noaa Oceangrafix
mdnautical.com

Near Or Below Normal 2020 Hurricane Season Predicted For Central
www.noaa.gov

Nhc Blank Tracking Charts
www.nhc.noaa.gov

Hurricane Madeline Gradually Weakens While Tracking West Towards
www.kwxx.com

Kiko Weakens To A Tropical Storm As 2 More Systems Form In The
www.hawaiinewsnow.com

Hurricane Douglas Sideswipes Hawaii Surfline
www.surfline.com

Https Encrypted Tbn0 Gstatic Com Images Q Tbn 3aand9gcq2w1l R2ltyiho9oslexvs8l1rv94gwsdspdbzosm6rqvwhbz4 Usqp Cau
encrypted-tbn0.gstatic.com

Noaa Exact Forecast Track Of Dorian No Longer Matters Coastal
www.orlandoweekly.com

Https Encrypted Tbn0 Gstatic Com Images Q Tbn 3aand9gctpsg Jtbl Yicckr 9 Mwvbakdvnrso9fhtw Usqp Cau

Tropical Storm Warning For Maui Hurricane Warning For Big Island
mauinow.com

Douglas Eastern Pacific Ocean Hurricane And Typhoon Updates
blogs.nasa.gov

Nhc Data Archive
www.nhc.noaa.gov

Miriam Norman Move West Towards Hawaii
www.weatherboy.com

Hurricane Tracker Florida Braced As Hurricane Isaias Barrels
nytimespost.com

X Tow5bwuouc7m

Hurricane Lane Update On Hawaii Websites To Check On Wailea
www.wailearealty.com

Cgqh9ku1sv1ttm

Noaa Predicts Active Hurricane Season For Hawai I Big Island Now
bigislandnow.com

Douglas Still A Major Hurricane Tracking Towards Hawaii 5 Pm
www.youtube.com

Https Encrypted Tbn0 Gstatic Com Images Q Tbn 3aand9gct3eevj Noatrdu1lequljgfaqeatqewxcc8w Usqp Cau

Hurricane Lane Path Latest Noaa Update Shows Lane On Track To
www.express.co.uk

Hurricane Lane Likely To Skirt Hawaiian Islands But Flooding
arstechnica.com

Hawaii Hurricanes How Unusual Are They The Weather Channel
weather.com

August 2016 Hawaii News And Island Information
damontucker.com

Hurricane Erick Noaa 5am Update Hawaii On Alert For Life
www.express.co.uk

Hawaii Avoids Direct Hit From Douglas As Hurricane Warning For
www.staradvertiser.com

Hurricane Lane Noaa 8pm Update Hurricane Lane Approaches Hawaiian
www.express.co.uk

Tropical Storm Hanna Eyes Texas While Hurricane Douglas Approaches
www.forbes.com

Hurricanes And Tropical Storms Annual 2013 State Of The
www.ncdc.noaa.gov

Lane Approaches Hawaii Potential Mid Week Impacts Maui Now
mauinow.com

Hurricane Hanna Lashes South Texas Coast Whilst Hurricane Douglas
corporatedispatch.com

Hurricane Hunters Villon Clothing
www.villonclothing.com

Hurricane Douglas Set For Weekend Arrival In Hawaii Redzone
www.redzone.co

Cliff Mass Weather Blog Time To Replace The National Hurricane
cliffmass.blogspot.com

Hurricane Douglas Maintains Strength As It Nears Hawaii 11 P M
www.bigislandvideonews.com

Nasa S Tracking Hawaii Bound Major Hurricane Douglas
phys.org

Noaa Exact Forecast Track Of Dorian No Longer Matters Coastal
www.orlandoweekly.com

Major Hurricane Madeline Is Tracking Noaa Nws National
www.facebook.com

Powerful Hurricane Douglas Continues March Toward Hawaii Hawaii
www.hawaiitribune-herald.com

Hurricane Douglas Bears Down On Hawaii As Islands Brace For High
www.foxnews.com

close